接安徽孩宝儿童用品有限公司申请,开发区规划建设局于2025年9月11日下午安排3名工作人员到安徽孩宝儿童用品有限公司新建童车童床生产厂区项目-1#仓库工程现场,对照规划方案进行了仔细核实,主要内容如下:
建设主体:安徽孩宝儿童用品有限公司。
施工单位:安徽一新建设发展有限公司。
建设位置:舒城县开发区城关片区陈三堰路与高峰路交口西北侧。
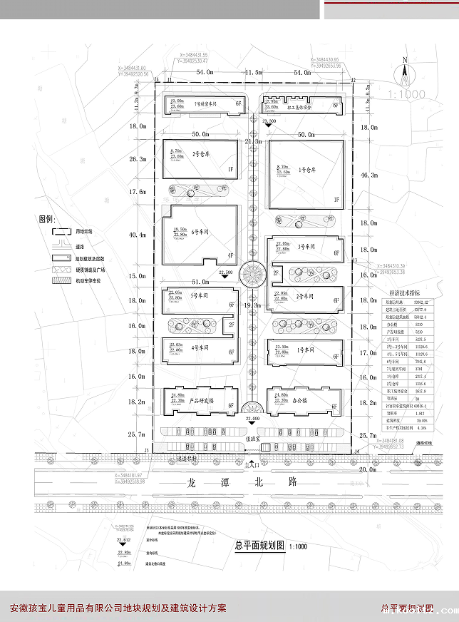
规划核实内容:1#仓库。
核实建筑规模:1#仓库:建筑面积2315平方米,地上一层,钢结构。
具体内容及现场核实照片详见附件。
该建筑经初步核实,与规划方案、建设工程规划许可证相符,现依照程序实行规划核实批前公示,公示时间3天,公示期自2025年9月16日-9月18日。若有单位或个人对该项目规划核实存在异议,可与开发区规划建设局反映,联系电话0564-8665530,联系人:张主任,邮箱:270891451@qq.com。如无异议,将给予核发规划核实合格证。
附:安徽孩宝儿童用品有限公司新建童车童床生产厂区项目规划总平面图、现场核实照片
规划总平面图:

现场核实照片:


开发区规划建设局
2025年9月15日