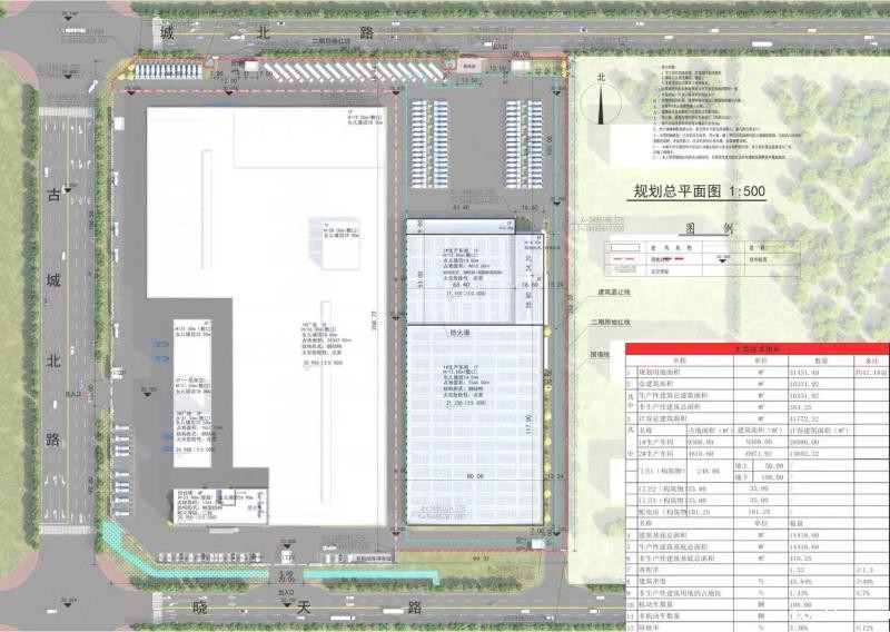
安徽华红新能源科技有限公司特种砂浆生产线及新能源设备新建项目用地位于安徽舒城经济开发区(城关片区)古城北路与晓天路交叉口东北角地块(具体位置见附图),规划总用地面积31451.49m2,规划计容总建筑面积41772.32m2。
规划方案经研究,原则上同意。依据相关规定,现对该方案进行公示。详情可在舒城政府政务公开网网站查询。
(//m.kooltz.com/zwzx/gsgg/index.html)
公示期间,单位或个人如有异议,请于2025年9月22日前向安徽舒城经济开发区反映。如无异议,将同意该规划方案并按规定办理相关手续。公示期限:2025年9月15日—2025年9月22日,联系电话:0564—8665530。
安徽舒城经济开发区
2025年9月12日

